
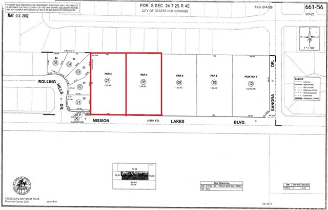
Offered for sale are two contiguous parcels of land (parcels 7 and 8) totaling 2.64 acres. During 2020, the City of Desert Hot Springs rezoned the 5 parcels between Rolling Hills Drive to the west and Sonora Drive to the east, from residential low-density to Neighborhood Commercial-creating a rare commercial location in this part of the city. As the population continues to grow, this location will be ideal for a strip center/fast food neighborhood retail center. Listing Broker also has parcels 10 and 12 for sale. In speaking with the Building and Planning Department, the city is opened minded to proposals for Neighborhood Commercial/Retail Use. Prospective buyers to check with the city for proposed commercial use. Great future opportunity!
The multiple listing data appearing on this website, or contained in reports produced therefrom, is owned and copyrighted by California Regional Multiple Listing Service, Inc. ("CRMLS") and is protected by all applicable copyright laws. Information provided is for viewer's personal, non-commercial use and may not be used for any purpose other than to identify prospective properties the viewer may be interested in purchasing. All listing data, including but not limited to square footage and lot size is believed to be accurate, but the listing Agent, listing Broker and CRMLS and its affiliates do not warrant or guarantee such accuracy. The viewer should independently verify the listed data prior to making any decisions based on such information by personal inspection and/or contacting a real estate professional.
Based on information from California Regional Multiple Listing Service, Inc. as of the most recent time synced and /or other sources. All data, including all measurements and calculations of area, is obtained from various sources and has not been, and will not be, verified by broker or MLS. All information should be independently reviewed and verified for accuracy. Properties may or may not be listed by the office/agent presenting the information
Last Updated:Â . Source: CRMLS
Provided By
Listing Agent: Brion Costa (#A31813)
Listing Office: Century 21 Adams & Barnes (#3513)

Get an estimate on monthly payments on this property.
Note: The results shown are estimates only and do not include all factors. Speak with a licensed agent or loan provider for exact details. This tool is sourced from CloseHack.